较新公告!涉及这两个村!南沙拟征收16.12亩土地!
扫描到手机,新闻随时看
扫一扫,用手机看文章
更加方便分享给朋友
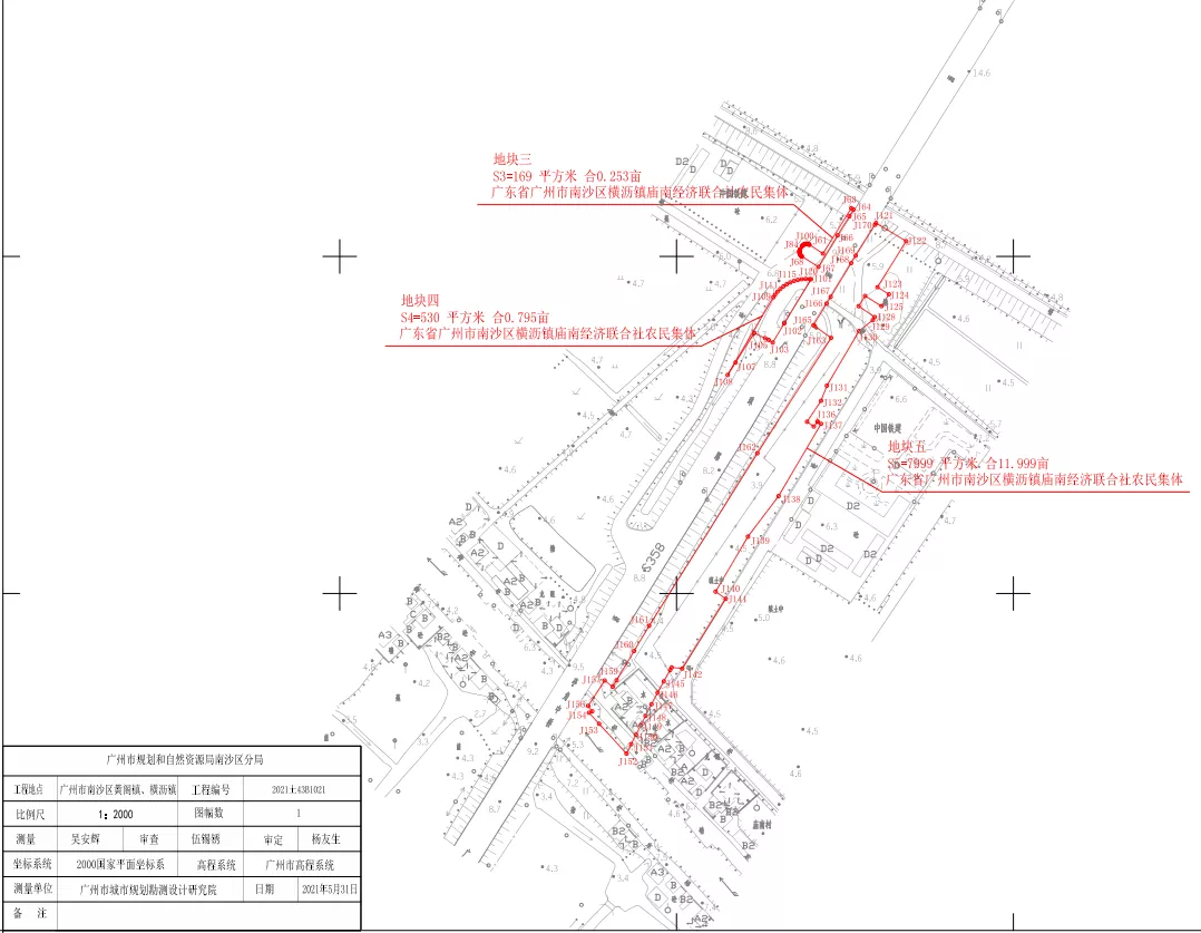
昨日南沙区政府又公布了一则较新征地公告,涉及到两个街镇共征16.1205 亩!

依照《中华人民共和国土地管理法》第二条、第四十七条的规定,为实施土地利用总体规划和城市总体规划,维护被征地农民的知情权,根据《国务院关于深化改革严格土地管理的决定》 (国发〔2004〕28 号)、国土资源部《关于印发〈关于完善征地补偿安置制度的指导意见〉的通知》(国土资发〔2004〕238 号) 和国土资源部办公厅《关于〈广州市征地制度改革试点方案〉的复函》(国土资厅函〔2003〕196 号)有关规定精神,现将拟征收土地情况预公告如下: 一、拟征收土地的位置和范围:南沙区黄阁镇亭角村地段、南沙区横沥镇庙南村地段(详见现场公告附图)。



二、拟征收土地的规划用途:交通用地。三、拟征收土地面积:10747 平方米(折合 16.1205 亩,以 2000国家大地坐标核算)。四、自本预公告发布之日起,本局将组织有关征地机构和测量单位,进入拟征地现场,对土地的权属、地类、面积,以及地上附着物(含房屋)的权属、种类、数量、结构等现状进行调查, 请各相关单位和个人相互知照,并予以配合。调查结果将与被征 地农村集体经济组织、农户和地上附着物产权人共同确认。五、征收土地的补偿标准和安置途径:
(一)补偿标准:依照《中华人民共和国土地管理法》第四十七条、《广东省实施〈中华人民共和国土地管理法〉办法》第三十条和国土资源部《关于印发〈关于完善征地补偿安置制度的指导意见〉的通知》(国土资发〔2004〕238 号)有关规定拟定。其中,地上附着物(含房屋)和青苗等的补偿,将根据调查确认的实际情况拟定具体的补偿标准。
(二)安置途径:1.以货币方式支付被征地农民安置补助费安置;2.为被征地农民支付社会保障金,购买社会保险;3.留用地安置。
(三)本局根据实际测量、现状调查和确认结果拟定具体的征地补偿安置方案后,将在依法报批前另行告知被征地农民集体经济组织和农户,充分听取意见。被征地农民集体经济组织和农户对拟征收土地的具体补偿标准、安置途径有申请听证的权利。六、自本预公告发布之日起,除正常农业生产外,被征地农村集体经济组织和农户在拟征土地上抢栽、抢种、抢建的地上附着物和青苗,征地时一律不予补偿。以上为较新的征收公告,这次征收有你们村吗?欢迎在下方评论区留言!
来源:南沙区政府网
声明:本文由入驻焦点开放平台的作者撰写,除焦点官方账号外,观点仅代表作者本人,不代表焦点立场。


