白云 ⇋ 花都将更畅通!新旧广花连接线路口有变化
扫描到手机,新闻随时看
扫一扫,用手机看文章
更加方便分享给朋友
新旧广花路
连通着白云和花都
是两地街坊出行的重要道路
然而,新旧广花连接的连接线路口现为双向 2 车道,路段总长度较短,路口一道三向分流,交通压力大。
为了缓解路口交通分流压力
计划对该道路连接线路口
进行优化升级

↓↓↓
近日,广州白云区政府网发布了《江高镇新旧广花连接线路口优化工程设计项目交易公告》。

工程将对新旧广花连接线路段及路口进行优化,即连接X264与广花三路的长岗路以及茅山新南街(至水莲路)的两条路段的四个路口,对两条道路进行环境整治及对路口进行拓宽,升级连接线道路及路口。
项目总投资约为150万元。
项目详情
新旧广花连接线路口优化工程设计,位于广州市白云区江高镇,项目包含两段道路,总长约 217.082 米。
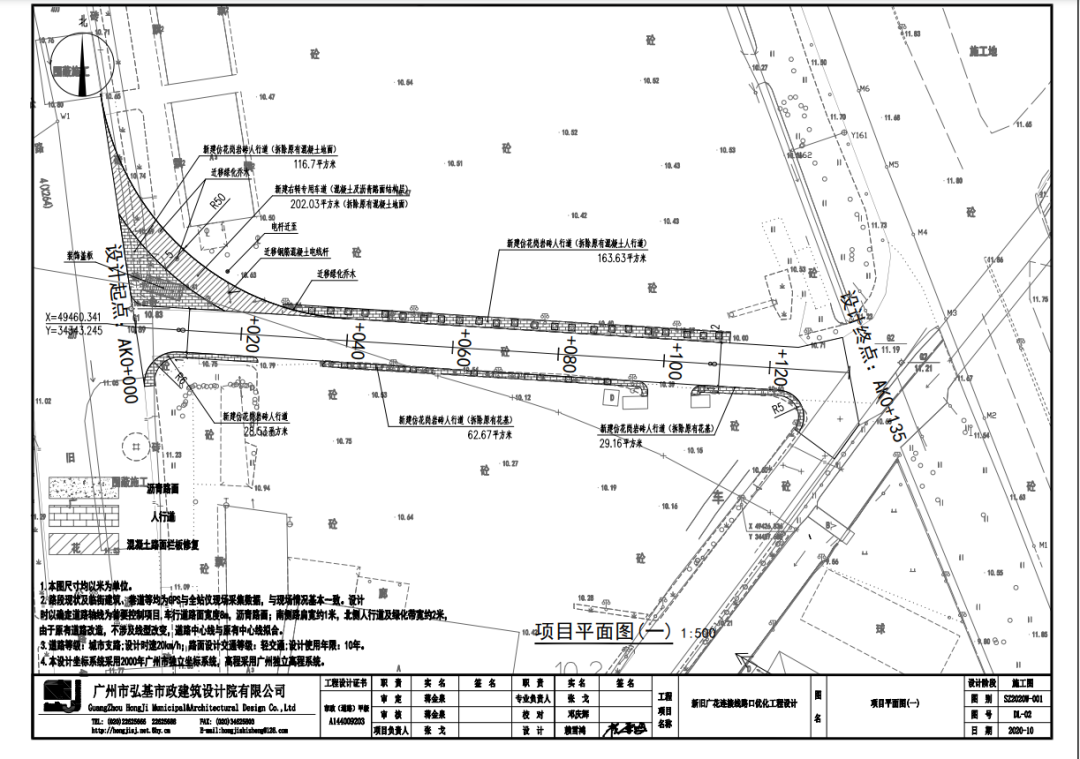
01
A段道路:
现状: A段道路现状为沥青混凝土路面,东西向,车行道宽度约 8 米,北侧人行道宽 2 米,南侧路肩宽 1 米,总宽度约 11 米,整体与规划线位、宽度相符。
规划: A段道路路线长度约135米,规划为双向两车道,城市支路,设计车速为 20km/h,道路宽 11米,交通等级中级;
项目还将对A 段沿线人行道及绿化带铺装改造,并在路口增设右转专用车道;

▲ A段道路工程平面图
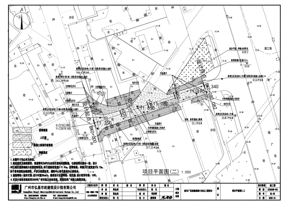
02
B段道路:
现状: B段道路现状为水泥混凝土路面,东西向,车行道宽度约 8~11.4 米,北侧人行道宽 3~6.7 米, 南侧人行道宽 3~5.3 米,总宽度约 14~23.4 米,整体与规划线位、宽度相符。
规划: B段道路路线长度约82.082米,规划为双向两车道,城市支路,设计车速为20km/h,道路宽 14.5~23.37米, 交通等级中级。
项目还将对B 段沿线人行道铺装改造,绿化带整饰,路口增设右转专用车道,路面加铺沥青混凝土路面。

▲ B段道路工程平面图
项目建成后
将有效缓解路口分流压力
对交通路况有大大的提升
来源:广州白云发布
声明:本文由入驻焦点开放平台的作者撰写,除焦点官方账号外,观点仅代表作者本人,不代表焦点立场。


