白云这个地铁站周边房屋要征收了!补偿方式及标准出炉
扫描到手机,新闻随时看
扫一扫,用手机看文章
更加方便分享给朋友
快看!地铁十二号线新市墟站国有土地上房屋准备征收了
......
5月13日
白云区土地开发中心发布
云府〔2021〕15号
《关于征收广州市轨道交通十二号线项目
新市墟站国有土地上房屋的决定》

征收范围及补偿方案
均已出炉
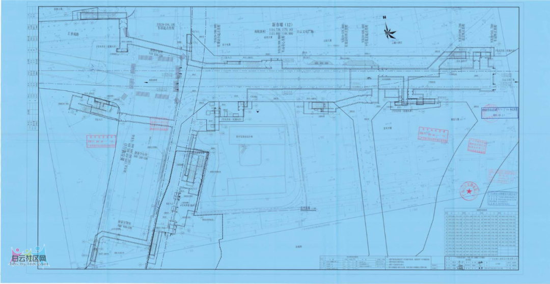
征收房屋地点:广州市白云区云城街广花五路112、120、122、124、126号,机场路1320、1322、1324、1326、1328、1330、1332、1334、1336、1338、1340、1342、1344、1346、1348号(产权证载门牌号),以及其他附属设施房屋。如有遗漏,以本项目用地规划红线为准。
用地规划红线图
↓↓↓

(▲点击图片放大)
征收补偿对象
征收范围内,符合以下条件之一的,为本方案的补偿对象:
(一)拥有合法产权的被征收房屋及其附属设施的所有权人。
(二)未超过批准使用期限的临时建筑使用人。
(三)历史用房等未经产权登记建筑,且符合相关规定可以给予补偿的使用人。
补偿方式及标准
根据相关房屋征收政策及该项目的房屋征收工作要求:
国有土地上住宅房屋被征收人可以选择货币补偿或房屋产权调换其中一种方式;
对本次涉及的国有土地上非住宅房屋原则上实行货币补偿。
依法征收个人住宅且被征收人符合住房保障条件的,市、区人民政府应当优先给予住房保障。
01
货币补偿被征收人选择货币补偿的,可以按房屋评估价签订房屋征收货币补偿协议,也可以按以下补偿指导价签订房屋征收货币补偿协议:
1、住宅房屋(产权证记载用途为住宅)按照24700元/平方米的补偿指导价给予补偿。
2、商业房屋补偿标准(产权证记载用途为商业)具体以评估为准。
3、仓库房屋补偿标准(产权证记载用途为仓库)具体以评估为准。
4、车库房屋补偿标准(产权证记载用途为车库)具体以评估为准。
上述指导价已含房屋基本装修费,如被征收人对上述指导价有异议的,可申请评估,按评估单价补偿被征收人,评估费由房屋征收部门负责支付。
02
住宅房屋产权调换
被征收人选择房屋产权调换的,本项目提供广州市白云区石门街“品实·云湖花城项目”房屋作为该项目的产权调换房屋。具体安置标准如下:
1、住宅房屋被征收人选择房屋产权调换的,由房屋征收部门提供“品实·云湖花城项目”进行产权调换。用于产权调换的具体房源等房屋信息由房屋征收部门在征收范围内现场公示。
2、被征收人选择房屋产权调换的,房屋征收部门与被征收人计算被征收房屋价值的补偿金额加上奖励与产权调换房屋价值,结清差价。
3、除房屋征收部门与被征收人协商一致以外,产权调换房屋的套内建筑面积不少于被征收房屋的套内建筑面积。
4、由于产权调换房屋不可分割,如被征收人选择的产权调换房屋套内建筑面积大于被征收房屋套内建筑面积,以产权调换房屋价值购买超面积部分,购买超面积部分产生的相关费用和税费由被征收人按有关规定缴纳。如被征收人选择的产权调换房屋套内建筑面积少于被征收房屋套内建筑面积,则少于部分按照第四条第(一)项和第五条第(一)项的标准给予货币补偿及征收奖励。
5、产权调换房屋公用分摊面积超出被征收房屋公用分摊面积的部分,由房屋征收部门按产权调换房屋的建安成本5184元/平方米与被征收人进行结算。
6、产权调换房屋的分配顺序以签约先后为依据,先签约的被征收人优先选择产权调换房屋。被征收人同时签订征收补偿协议的,通过摇珠的方式随机确定产权调换房屋的分配顺序。
7、如被征收人在房屋征收部门提供的产权调换房屋中未选中合适的房源,由房屋征收部门按照货币补偿方式给予补偿。
03
住改商”房屋的补偿
拥有合法产权,但被征收人自行“住改商”的住宅房屋,被征收人选择产权调换的,按住宅用房进行补偿;被征收人选择货币补偿的,按照相关方式给予补偿
04
未经产权登记建筑的补偿标准
1、未超过批准期限的临时建筑,被征收人提供建造依据和发票等证明材料,由具有相应资质的评估机构进行评估,按评估结果给予补偿。
2、对未经产权登记的建筑,认定为违法建筑或超过批准期限的临时建筑的,不予补偿。
3、不属于本项第1、2点情形的未经产权登记的建筑,存在特定情况的,给予货币补偿。
住宅房屋奖励与补助
1、征收奖励:按照征收住宅房屋合法产权面积,一次性给予住宅房屋被征收人5000元/平方米的征收奖励。
2、弃产补助:被征收人选择货币补偿的,按照征收住宅房屋合法产权面积,一次性给予住宅房屋被征收人8000元/平方米的弃产补助。
3、搬迁费:被征收人选择货币补偿的,按照5000元/户的标准一次性付清搬迁费;被征收人选择现房产权调换的,按照5000元/户的标准一次性付清搬迁费;被征收人选择期房产权调换的,按照10000元/户的标准一次性付清搬迁费。
4、临时安置费:
住宅房屋:25元/平方米/月。
商业房屋:184元/平方米/月。
房屋征收范围确定后,不得在房屋征收范围内实施新建、扩建、改建房屋及其附属物和改变房屋用途等不当增加补偿费用的行为;违反规定实施的,不予补偿。
被征收人对本决定不服的,可以在本决定公告之日起60日内依法向广州市人民政府申请行政复议,也可以在本决定公告之日起6个月内依法向广州铁路运输中级法院提起行政诉讼。
行政复议地址:广州市越秀区小北路183号金和大厦2楼。
联系电话:020—83555988。
新市墟站
新市墟站是十二号线和十四号线二期的换乘站,位于机场路与齐富路交叉口,沿齐富路东西敷设,两条线路采用L型换乘方式,在站厅分别设置付费区和非付费区换乘通道。
据悉,新市墟车站周边规划主要为商业用地和居住用地及特殊用地(含军区用地)。

▲ 新市墟站车站概况
本月初,广州市规划和自然资源局发布《地铁12号线南航新村站周边地块控制性详细规划》显示,原规划待定用地拟调整为商业等用地,未来新市商圈将继续扩展。
而未来白云站及棠涌村城市更新改造将连接新市墟站,连片发展,未来不可估量!
来源:广州白云发布
声明:本文由入驻焦点开放平台的作者撰写,除焦点官方账号外,观点仅代表作者本人,不代表焦点立场。


