投资32亿,超20公里!增城将建设一条横跨南北的大动脉!
扫描到手机,新闻随时看
扫一扫,用手机看文章
更加方便分享给朋友
超32亿!横跨朱村、仙村内部两条超级主干道要来了!
近日,关于增城区朱仙大道建设工程和北三环朱村链接线(联兴出入口至广汕路)建设工程环评公示正式出炉。

朱仙大道建设工程环评报告

北三环朱村链接线
相信不少沿线居民对这个两个项目期待已久,毕竟这是这两项目互联起来是增城一条长达20公里的南北走向大动脉。
那么,如今环评出炉有什么较新的消息,接下来房产君就来带你们了解这条南北大动脉。
总投资131936.9715万元
朱村北三环联络线,总长度6.33公里
首先,目前已建成通车的广州北三环二期高速公路横跨增城区中部,贯穿增城区朱村街东北部。
而随着广州职业技术院校迁建项目、国家工信部电子五所增城总部新区的落户朱村街和广州地铁21号线的规划建设,朱村街经济社会发展明显加快,但朱村街路网较为单一,主要依靠广汕公路。

项目地理位置图
此外,朱村街依托白水带和吊钟水库良好的生态资源,加快推进北部生态旅游业发展,引进了广州七彩澳游旅游休闲项目。

吊钟水库旁的七彩澳游世界
考虑到广州北三环高速公路贯穿科教城项目北面,为完善项目周边路网建设,方便科育城师生出行,并加快推动朱村街生态旅游业发展,拟增设增城区北三环朱村连接线(联兴出入口至广汕路)建设工程,以充分发挥北三环交通优势,加快推进朱村街融入广州半小时生活圈。
增城区北三环朱村连接线(联兴出入口至广汕路)建设工程位于本项目位于增城区朱村街东面、吊钟水库以南,本项目是北三环二期联兴出入口连接线工程(即联兴出入口至广汕路段的道路建设工程),起点接北三环二期联兴收费站出入口,终点与朱仙大道对接路线基本为南北走向,往南经过联兴村、下油罗村、上油罗村、园岭村、龙岗村,穿过马鞍岭、果含岭,跨越朱村运河后拐向东南方向,穿过南岗村,继续往南与广汕路相交,最终与朱仙大道对接。
一级公路结合城市主干路,主线设计速度 80km/h,横断面宽度 40m,总长 6.332 公里,采用沥青路面。

总投资191507.69万元
朱仙大道,总长度14.27公里
随着朱村街、仙村镇、中心镇、石滩镇的不断发展,现状朱村街、仙村镇、石滩镇之间的连接道路仅靠双向两车道的朱仙路、朱石公路,已经不能满足朱村街、仙村镇、石滩镇发展需求。
为了加强朱村街、仙村镇、石滩镇三者的联系,刺激朱村街、仙村镇、石滩镇之间土地开发利用,促进珠三角东岸地区产业发展,增城区政府拟增设增城区朱仙大道建设工程。
增城区朱仙大道建设工程(以下称“本项目”)位于增城区中部和南部区域内,沿线经过朱村街、仙村镇两个重要镇街。项目按一级公路兼城市主干道标准建设,道路全长 14.27km(A线 8.48km、B 线 2.990km、C 线 1.1km、D 线 1.69km),沥青混凝土路面,分为四段路线。

其中:
A 线北起北三环连接线(下穿广汕公路路段),南至荔新公路仙村段,全长 8.48km,设计速度 80km/h;

朱仙路与朱仙大道 A线十字灯控渠化平交
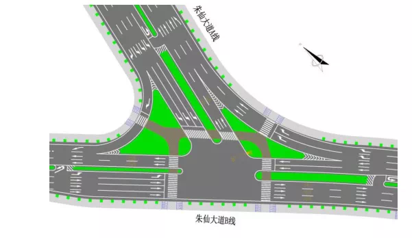
B 线北起现状仙宁路(宁西镇与仙村镇镇界位置),南至 A 线终点AK8+479.837,为宁西镇连接主路线的一条支线,全长 2.99km,设计速度 60km/h;

朱仙大道A线与B线T字灯控渠化

朱仙大道B线下穿济广高速
C 线主路线与荔新公路相交的菱形互通,全长 1.1km,设计速度 100km/h;

荔新公路跨线桥上跨朱仙大道 B线后,于C线处下穿花莞高速
D 线西接主线 AK2+240,全长 1.69km,设计速度 80km/h,建设内容包括道路、桥涵、交通、给排水、电气、绿化景观等工程。

项目效果图
可以说,随着该道路的建设,未来新周边多个项目都能受益不浅,尤其是朱村大华城·东郡、叠溪花园、万科金色里程以及居住在朱村和仙村的街坊们,毕竟现今的增城朱村、仙村、永宁之间的来南接线破旧不堪通勤能力大大下降。
同时也应因为道路问题,这些片区发展一直落后于周边,尤其是仙村一直想推进其荔枝小镇和开发区仙村园区,多少也因为道路交通的问题受到影响,待道路建成房产君倒是希望仙村能好好推进下其搁置已久的仙村园区。
至于朱村方面,科教城在2019年已经开始全面动工,预计2022年底13所学校均能迁入朱村,而相应的道路配套、商业配套以及生活配套,在未来两年应该会得到迅速的补充。
来源:增城房产
声明:本文由入驻焦点开放平台的作者撰写,除焦点官方账号外,观点仅代表作者本人,不代表焦点立场。


